Bahamas emitió una orden formal de evacuación para el sureste del país ante la llegada del huracán Melissa (REUTERS)

El Gobierno de Bahamas emitió en las últimas horas del lunes una orden formal de evacuación para los residentes de Inagua, Acklins, Crooked, Mayaguana y Ragged, municipios ubicados en el sureste del país caribeño, ante la llegada del huracán Melissa, de categoría 5.

Este aviso se emite para garantizar que las personas que corren mayor riesgo puedan ser reubicadas de forma segura antes de que las condiciones empeoren”, precisó en una rueda de prensa el primer ministro bahameño, Phillip Davis.

El mandatario indicó que, según el Departamento de Meteorología de Bahamas, se prevé que Melissa comience a afectar el sureste del país a primera hora de este martes, y se espera que las condiciones empeoren a lo largo del miércoles a medida que la tormenta avance por la zona.

Ante esta alerta meteorológica, el Gobierno y la Autoridad de Gestión de Riesgos de Desastres (DRM, por sus siglas en inglés) urgieron a los residentes de las áreas anteriormente mencionadas a estar en contacto con “Family Island” para obtener información detallada de los horarios de evacuación y los medios de transporte.

“Este aviso se emite para garantizar que las personas que corren mayor riesgo puedan ser reubicadas de forma segura antes de que las condiciones empeoren”, precisó en una rueda de prensa el primer ministro bahameño, Phillip Davis (REUTERS)

Por último, Davis señaló que durante la jornada dará más información sobre los planes de evacuación e instó a la ciudadanía a mantener la calma.

Describiremos las medidas específicas que se están tomando para proteger vidas y propiedades, incluyendo la logística del transporte, la preparación de los refugios y la coordinación entre todas las agencias gubernamentales”, sostuvo.

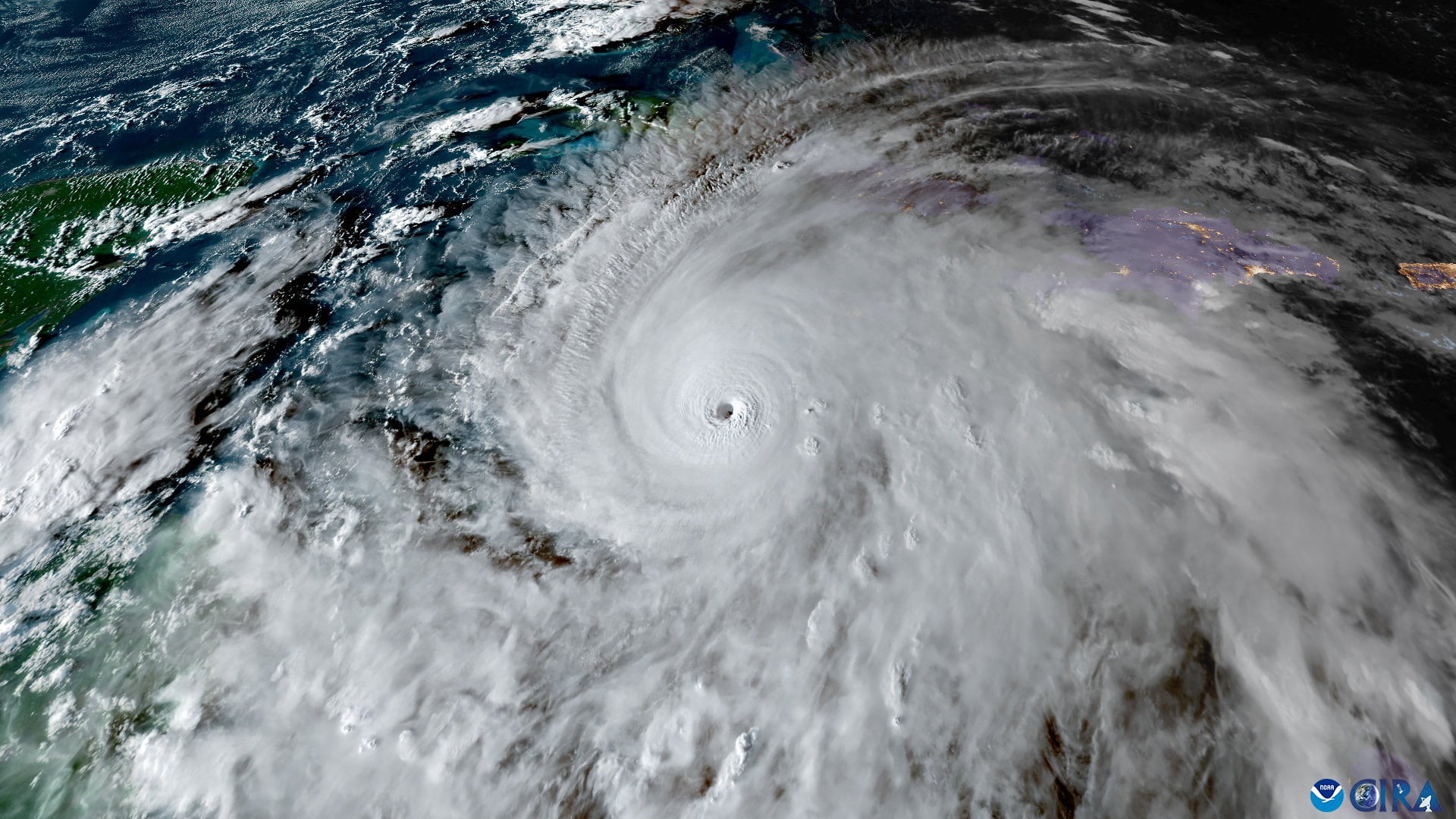
El Centro Nacional de Huracanes (NHC, por sus siglas en inglés) informó de que el huracán de categoría 5, que actualmente avanza a unos 6 kilómetros por hora y experimenta vientos máximos sostenidos de hasta 270 kilómetros por hora, alcanzaría a Cuba el martes.

Melissa tocaría el sur de Bahamas el miércoles y causaría lluvias en Haití y en la República Dominicana, donde un millón de usuarios se quedaron sin agua.

Asimismo, el NHC indicó que hay una alerta vigente de huracán para el sureste y el centro de Bahamas, así como para las islas Turcas y Caicos.

En este contexto, Naciones Unidas anunció el lunes la activación de su mecanismo de Acción Anticipatoria ante el próximo impacto del huracán Melissa en Cuba, con el que prevé repartir más de 100 toneladas de arroz y material de emergencia.

El Centro Nacional de Huracanes informó de que el huracán de categoría 5, que actualmente avanza a unos 6 kilómetros por hora y experimenta vientos máximos sostenidos de hasta 270 kilómetros por hora, alcanzaría a Cuba el martes (REUTERS)

Por su parte, el primer ministro de Jamaica, Andrew Holness, aseguró que el Gobierno cuenta con un plan multifacético para llevar a cabo una respuesta “rápida y eficaz” ante el inminente impacto la noche de este lunes de Melissa.

Además, el Instituto de Meteorología (Insmet) de Cuba prevé que Melissa toque tierra en el extremo oriental de Cuba en la madrugada del miércoles, como huracán de categoría mayor, con intensas lluvias, fuertes vientos y marejadas ciclónicas.

(Con información de EFE)